Skip to main content

Wheat Diseases

All Wheat Diseases Content

Collage of four common wheat disease symptoms. From left: Tan spot, strip rust, stagonospora leaf blotch, and bacterial leaf streak.

Winter Wheat Disease Update: Leaf Diseases and FHB on the Increase

Winter wheat fields scouted last week show an increase in fungal leaf diseases and bacterial leaf streak. Among the fungal diseases, the most common leaf diseases are tan spot, Stagonospora leaf blotch, and stripe rust. The risk for Fusarium head blight has also started to increase in a number of areas in the state.

Green blades of wheat with brown, rust-like spots throughout.

Diseases in Winter Wheat Imply High Inoculum for Spring Wheat

Winter wheat is past the need for an in-season fungicide application. However, many spring wheat fields are yet to flower, making them prone to disease development. A few diseases, including leaf rust, stripe rust, and Fusarium head blight have developed in winter wheat. This implies that there is enough inoculum available for these diseases to develop in spring wheat; especially East River, where rainfall has been frequent.

Symptoms of rust infection on wheat blades. Left: Stripe rust. Yellow pustules are arranged in a linear fashion on the wheat blade. Right: Leaf rust. Orange-brown pustules are randomly distributed on the leaf.

Stripe Rust and Leaf Rust Developing in Winter Wheat

Stripe rust and leaf rust were found in winter wheat plots at the SDSU research farm in Aurora. Observation of these two rusts indicates that we have inoculum in our area, therefore winter wheat fields should be scouted until wheat is done flowering.

Two, dark green aphids on a bright green leaf.

Aphid Populations Being Observed in Wheat

During the past couple of weeks, reports of aphid populations in wheat fields have slowly been increasing. Typically, the initial aphid populations are observed earlier in the season, but the 2019 spring may have delayed infestations.

A color-coded map of South Dakota. The majority of the map is green, with a small patch of yellow and some specs of red in the East, South Central part of the state.

Use the Scab and Leaf Disease Forecasting Tools to Decide on Fungicide Application in Wheat

Fungicide application in winter wheat has consistently shown to prevent yield loss caused by fungal diseases. However, in some cases, a fungicide application may not always result in a profitable yield when disease pressure is low. Disease forecasting tools can aid fungicide application decisions and hence improve on the profitability of fungicide application.

Left: A close-up of two wheat leaves showing light yellow streaks, a symptom of wheat streak mosaic virus. Right: Winter wheat leaves with small dark brown lesions surrounded by a yellow halo, a symptom of tan spot.

Winter Wheat Disease Update: Wheat Streak Mosaic and Tan Spot Developing at Low Level

Winter wheat fields scouted the week of May 27, 2019 in South Central South Dakota were found with wheat streak mosaic virus and tan spot developing at very low levels. Both diseases were found in non-rotated wheat fields.

Winter wheat blades with lesions with a dark brown center and yellow margin surrounding the lesion.

Diagnosing Early Diseases in Winter Wheat

Winter wheat progress is relatively behind the five-year average given the long winter season and low spring temperatures. However, it is important to scout and diagnose early-season diseases in winter wheat to determine the need for an early season fungicide.

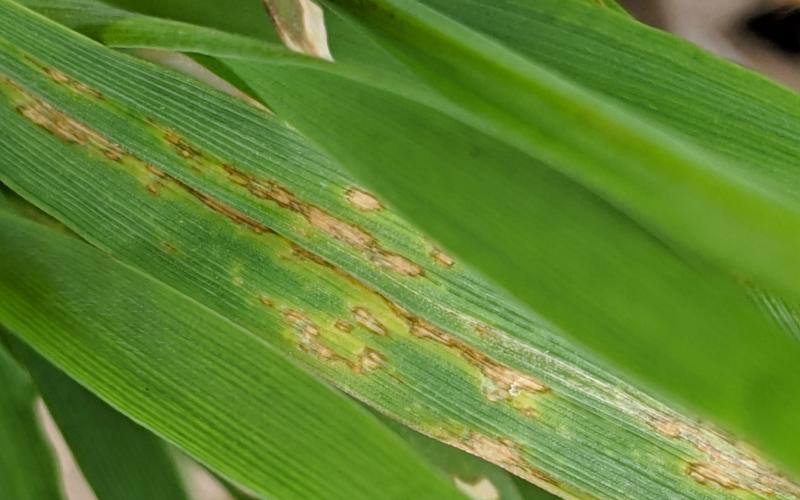
winter wheat blade with brown to tan colored lesions with water soaking around them.

Bacterial Leaf Blight Developing in Winter Wheat

Recent winter wheat scouting found bacterial leaf blight developing in some fields. Bacterial leaf blight is caused by the bacteria, Pseudomonas syringae pv. syringae. The disease develops under frequent rains between 59 and 77 degrees Fahrenheit.

An empty grain bin full-air floor is plugged by insect webbing.

Stored Grain Pests: Spring Insect and Disease Issues

Grain storage is a key component in getting your crop to market. Aside from watching bins for spoilage, moisture, and temperature changes, make sure you are looking for signs of pest infestation.

wheat field

2018 Field Plot Summaries for Wheat Disease Management Trials

The wheat disease management field experiments conducted in the 2018 growing season evaluated several experimental and commercially available fungicides for managing foliar, head or root diseases of spring wheat. Foliar and spike/head diseases incidence and severity were assessed. The field experiments were implemented at Volga Research Farm and Northeast Research Farm (NERF) near South Shore, SD. Results of the same experiment may vary between Volga and Northeast due to environmental differences between the two locations.