
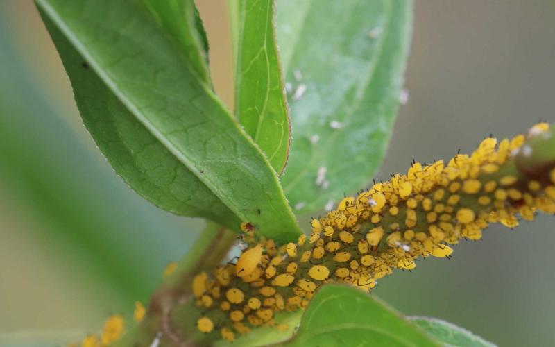
During this time of the season, many of us are closely monitoring milkweed in our yards and on our property for monarch caterpillars. However, it is not uncommon to notice large populations of small yellow insects covering the leaves and stems of the milkweed plants. This year, we’ve noticed large populations of aphids on swamp milkweed plants and we’ve identified them as the oleander aphid (Aphis nerii), which is sometimes referred to as the milkweed aphid (Figure 1). However, these are not a native species and were introduced into the U.S. on oleander.
Oleander aphids are bright yellow with black legs, antennae, and cornicles (tail pipes) (Figure 2). They commonly infest oleander, common milkweed, swamp milkweed and butterfly weed. Like other species of aphids, their populations can explode in a short amount of time. When large populations are present, the plants will appear shiny due to the excretion of honeydew, which can also promote the growth of sooty mold.
Unlike most other species of aphids, oleander aphids are sometimes left alone by predators. This is due to the oleander aphids sequestering the cardenolide toxins from the milkweed, which are toxic to predators. This in turn prevents predators from effectively feeding on their populations.
While these aphids are easy to spot because of their bright color, smaller numbers of them can be found by following ants as they move around the plant. Ants will tend these aphids and collect their honeydew as a food source.

So, what can be done to limit oleander aphids on milkweed? First and foremost, we do not recommend using foliar insecticides. The purpose of milkweed is to encourage monarchs to lay eggs and allow monarch caterpillars to develop. Spraying the plants would be detrimental to the caterpillars. Instead, water the plants to ensure that they are able to tolerate the aphid feeding. Also, it is important to not fertilize the milkweed plants. Aphids reproduce more quickly on plants that have high nitrogen concentrations.
If the populations become too dense, use your fingers to squish the aphids. You might want to wear gloves when doing this, as it will be a sticky mess. We don’t recommend using high pressure water to remove the aphids as this could also remove any monarch caterpillars that are present on the plant.