Skip to main content

Content by Madalyn Shires

tar spot on a corn leaf

SDSU Extension to host tar spot webinar

January 24, 2025

Tar spot is a potentially yield-impacting corn disease that was confirmed in 46 of South Dakota’s 66 counties in 2024. The fungus can cling to crop residue over the winter and re-emerge once temperatures rise. It’s most commonly spread in South Dakota by wind-blown spores.

Corn leafhopper resting on a corn leaf.

Corn Stunt in South Dakota

In late September, a sample received from Deuel County was confirmed positive for corn stunt, a disease spread through corn leafhopper feeding. This diagnosis is the furthest north corn stunt has ever been confirmed and reported in the United States.

Tractor with sprayer applying postemergence herbicide to soybeans.

Current State of Row Crop Weed Management in South Dakota

Results of an online survey to determine how South Dakota stakeholders are currently managing row crop weeds.

corn leaf with tar spot on it

SDSU Extension to host disease scouting workshop for corn, soybeans

October 01, 2024

If you have been wondering what you’re seeing in your corn or soybean fields this season, join the SDSU Extension plant pathology team in Volga to see tar spot in the corn field and white mold in the soybean field, or to have your own diseased plant material identified.

Corn leaf with multiple tar spot lesions. The smaller lesions are about the size of a pen tip.

South Dakota Tar Spot Update: September 30, 2024

As of September 26, 2024, our researchers have confirmed the presence of tar spot in 25 counties across the eastern half of South Dakota. The severity of infection has varied anywhere from less than 1% to approximately 20% on individual corn plants.

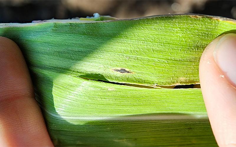
Two fingers pointing out a single tar spot lesion on a corn leaf.

South Dakota Tar Spot Update: September 13, 2024

Tar spot was recently found in Turner, Clay, Union, Yankton, and Bon Homme Counties. Low levels of tar spot do not indicate a need to spray, but they do indicate that fields should be routinely scouted until harvest.

Hands holding a corn leaf with a single tar spot lesion developing.

South Dakota Tar Spot Update: September 9, 2024

Tar spot is a potentially yield-impacting disease of corn, and it was recently found in plant samples from Minnehaha and Turner counties. Learn some expert tips for scouting and managing it this season.

Color-coded map of South Dakota showing Fusarium Head Blight risk throughout the state. For a detailed description, please call SDSU Extension at 605-688-4792.

Fusarium Head Blight Forecast

The warm and humid conditions prevalent in South Dakota throughout June 2024 have significantly favored Fusarium head blight disease development. As of this week, the risk for Fusarium head blight has begun to increase.

Rose rust disease symptoms on the tops and bottoms of leaves.

Rose Rust

Common rust of roses is a fungal disease that is found throughout the United States. While hot and dry summers limit the prevalence of the disease, it surfaces when weather conditions are cool and wet.

Rose leaves with dark black to purplish spots throughout.

Black Spot Disease in Roses

Black spot is a recurring fungal disease in roses that will decrease the vigor and blooms of rose plants if it is not managed. Learn some expert tips for identifying and managing it in your gardens.