Originally written with contributions by Emmanuel Byamukama, former SDSU Extension Plant Pathologist.
Southern rust was found in Yankton County, bacterial leaf streak (BLS) was found in Brule County, and eyespot was found in several fields and counties the week of July 27, 2020. The three diseases were found at low severity levels. However, continued conducive environment (high humidity, dewy nights and warm temperatures), these diseases could reach yield reducing levels. It is important to accurately diagnose diseases before management decisions are made.
Southern Rust

Southern rust being found in corn at VT/R1 in South Dakota at this time is the earliest in the last seven years. This disease can be quite severe and can cause significant corn yield loss under favorable weather conditions. Most hybrids are susceptible to this rust. Scouting is encouraged to determine the need for a fungicide application. Most of the fungicides on the market have good efficacy against this rust.
Southern rust is quite distinct from common rust based on the color and arrangement of lesions on the leaves (Figure 1). Southern rust forms dark orange/yellowish lesions that are clustered on a leaf surface while common rust forms dark red lesions often scattered on the leaf surface. Also, when held against the light, southern rust shows a yellow halo around the lesions.
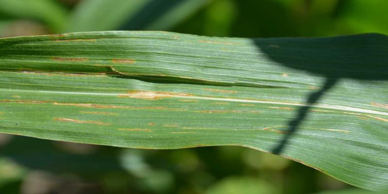
Bacterial Leaf Streak

Bacterial leaf streak (BLS) is a relatively new bacterial disease of corn in S.D. and can be confused with gray leaf spot, a fungal disease which starts to develop after the tasseling growth stage. Since BLS is a bacterial disease, a fungicide application will not protect the corn plants from infection.
Bacterial leaf streak starts to develop as narrow, wavy, tan to brown, long lesions on corn leaves (Figure 2). As symptoms advance, the lesions may expand and coalesce forming larger lesions which maintain wavy water-soaked margins.

The distinction from gray leaf spot is BLS’ wavy, water-soaked lesions (Figure 3-A). Gray leaf spot forms short, regular (rectangular), tan lesions (Figure 3-B). It is not yet known where BLS inoculum comes from. There are some speculations that the bacteria can survive on seed. Fields that have been found with BLS also had volunteer corn showing symptoms of BLS which indicates that the BLS pathogen can survive on corn residue.
Current BLS management recommendations include crop rotation and crop residue management through tillage where practical. No information is available currently on BLS resistance across hybrids.
Eyespot

Eyespot symptoms start as small, round, brown lesions (Figure 4). As symptoms advance, the lesions develop a tan center surrounded by a yellow halo. These can coalesce to form large dead portions of the leaf. Eyespot is a fungal disease caused by Aureobasidium zeae. This fungus survives in corn residue and infection is promoted by several hours of leaf wetness from rainy weather or prolonged heavy dew. The spores are splashed onto lower leaves from corn residue or blown by wind to upper leaves.
For corn on corn fields with eyespot starting, a fungicide at R1 is effective against this disease. Most of the fungicides registered for corn in South Dakota are effective against eyespot. Susceptibility to eyespot varies among hybrids. Since the eyespot pathogen is residue-borne, crop rotation and, where practical, residue management through tillage can help reduce the inoculum density. For up-to-date information on what pesticides are best suited for diseases in corn please refer to the latest South Dakota Pest Management Guide: Corn.